¿Es posible crear un office en mi salón?

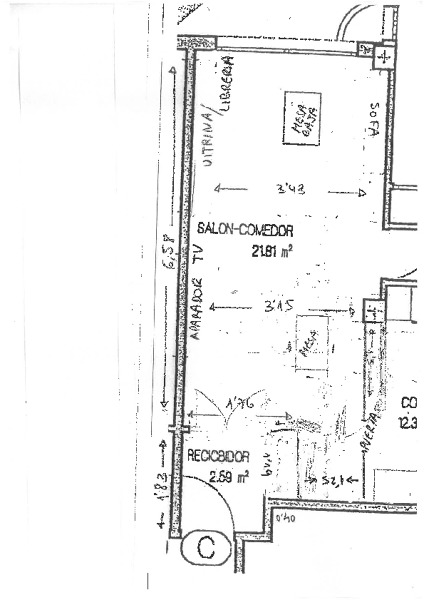
Adjunto plano salon para que alguien me oriente si es posible crear un rincón coqueto, tipo office, para comer 4 personas a la derecha de entrar en el recibidor, arañando espacio de esa entradita y con una puerta de acceso a cocina que me está dando muchos quebraderos de cabeza. Gracias

LGF
LGF preguntó sobre
Reformas Viviendas
Actualizado Hace 8 años

¿Es posible crear un office en mi salón?

Adjunto plano salon para que alguien me oriente si es posible crear un rincón coqueto, tipo office, para comer 4 personas a la derecha de entrar en el recibidor, arañando espacio de esa entradita y con una puerta de acceso a cocina que me está dando muchos quebraderos de cabeza. Gracias

¿Tienes alguna pregunta?
Pregunta a la comunidad

12 Respuestas

Respuestas útiles 4
José Luis Búrdalo Martínez
José Luis Búrdalo Martínez
José Luis Búrdalo Martínez respondió... compás y cartabón (Alcalá de Henares, Madrid) compás y cartabón - hace 8 años

Buenos días.

Si, en principio parece viable, pero como indica el compañero, estaría bien disponer de la totalidad de la vivienda para estudiarla mejor, es más, lo normal sería que viese usted con un técnico in situ la vivienda, que le pueda hacer unos planos y con ellos, tomar decisiones... el coste va a ser mucho menos de lo que se imagina por tener una idea clara de como podrá quedar.

Gracias. Un saludo.

Responder
¿Inapropiado? Reporta una incidencia
LGF replicó... Particular - hace 8 años

En realidad el resto de la derecha del plano es la cocina y acabo de reformarla, por eso solo envío la zona que realmente puedo ahora tocar y en la que tengo dudas respecto al espacio mínimo necesario para crear ese rinconcito, ya que me parece que nos vamos a encajonar mucho y desaprovechar el resto del salón. Bienvenido cualquier consejo. Gracias

¿Inapropiado? Reporta una incidencia
Tamara Gonzalez Morilla
Tamara Gonzalez Morilla
Tamara Gonzalez Morilla respondió... Limpieza Y Mantenimiento Brillo Del Sur (Sevilla, Sevilla) Limpieza Y Mantenimiento Brillo Del Sur - hace 8 años

Buenas tardes:

A colación de lo expuesto por mis compañeros anteriormente, si no quiere embarcarse en reformas tras la llevada a cabo en la zona de la cocina, una idea para ese pequeño rincón sería colocar, como han comentado, encimera con taburetes para zona de desayunos u otros junto con mueble alto para almacenaje o alacena extra con iluminación led bajo el mismo teniendo una iluminación mas óptima para la actividad que se vaya a realizar en dicho espacio.

Responder
¿Inapropiado? Reporta una incidencia
LGF replicó... Particular - hace 8 años

Adjunto fotos que os puedan orientar. Una mesa enorme que tendría que desaparecer y un mueble despensa en un espacio que podría ser de 1,25 x 1,65 + el tema de la puerta embutida. Cómo lo veis? El almacenaje lo complica todo ya que para abrir las puertas no tengo sitio. Gracias por adelantado

5 fotos
¿Inapropiado? Reporta una incidencia
Espacio Concept
Espacio Concept
Espacio Concept respondió... Espacio Concept (Vigo, Pontevedra) Espacio Concept - hace 8 años

Buenos días LGF

En el plano creo ver que la cota desde el recibidor hasta la cocina es de 1,25m. Con este espacio disponible, lo máximo que te recomendaría sería hacer una barra de desayuno estrechita con unos taburetes.

Un saludo!

Responder
¿Inapropiado? Reporta una incidencia
Manuel Doval
Manuel Doval
Manuel Doval respondió... DOVHER ARQUITECTURA (Madrid, Madrid) DOVHER ARQUITECTURA - hace 8 años

El pasillo central, la puerta de entrada y la de la cocina hacen difícil utilizar ese espacio que es prácticamente de paso. los esquemas adjuntos señalan algunas opciones para un posible espacio de 2.15 de anchura, con una mesa de 75 cm. y dos áreas de asiento de la misma dimensión.

Responder
¿Inapropiado? Reporta una incidencia
LGF replicó... Particular - hace 8 años

Gracias por su rápida respuesta. Lo que no entiendo es la última propuesta, es decir la ubicación del supuesto office a la derecha. Dónde queda la puerta embutida? Y ese espacio de 2,15 creo que es el que yo en realidad tengo como 1,65. Quizá no me he explicado bien, pero en el plano que adjunto el recibidor está independiente y las fotos están tomadas desde la puerta que da acceso al salón

¿Inapropiado? Reporta una incidencia
LGF replicó... Particular - hace 8 años

Os adjunto una foto que describe mis expectativas para que me enfrentes a la realidad. Cuánto espacio calculais que ocupa este rincón?

¿Inapropiado? Reporta una incidencia
José Luis Búrdalo Martínez
José Luis Búrdalo Martínez
José Luis Búrdalo Martínez replicó... compás y cartabón (Alcalá de Henares, Madrid) compás y cartabón - hace 8 años

Buenos días.

A ese rincón de la fotografía yo le echaría mínimo 2 x 2 mts.

Un saludo.

¿Inapropiado? Reporta una incidencia
LGF respondió... Particular - hace 8 años

En realidad el resto de la derecha del plano es la cocina y acabo de reformarla, por eso solo envío la zona que realmente puedo ahora tocar y en la que tengo dudas respecto al espacio mínimo necesario para crear ese rinconcito, ya que me parece que nos vamos a encajonar mucho y desaprovechar el resto del salón. Bienvenido cualquier consejo. Gracias

Responder
¿Inapropiado? Reporta una incidencia
José Luis Búrdalo Martínez
José Luis Búrdalo Martínez
José Luis Búrdalo Martínez replicó... compás y cartabón (Alcalá de Henares, Madrid) compás y cartabón - hace 8 años

Buenos días.

Entendido... entonces, si no hay forma de "robar" unos centímetros a la derecha, a la cocina, me parece ver que insinúa una puerta doble que no se si será existente o es que quiere ponerla... ¿podría subir unas fotos del espacio?; no obstante, 315 cms para paso general de entrada a la vivienda, si se le pretende robar espacio para hacer un office, que menos que dejar un paso de 100 o 120 cms, lo cual deja un espacio para office de 195 - 215 cms, podría ser suficiente para colocar un mueble sofá rinconera y una mesa que, además, pudiera servir para dejar llaves al entrar y salir de casa, dejar bultos cuando uno viene de la compra y desde ahí, distribuir, etc... realmente, si el recibidor no lo quiere independizar, si pretende dar al espacio sensación de continuidad y espacio abierto, piense que la puerta de la calle la abrirá x veces al día, pero seguramente pasará más tiempo en el office, así que si es un espacio en el que prevé estar tiempo, bienvenido sea, si por el contrario, no es de comer y estar en un espacio así, no me lo plantearía.

La primera pregunta (a mi entender) es clara... ¿lo voy a usar y me será cómo y útil día a día?, ¿voy a desayunar, comer, cenar ahí y además, pasar tiempo trabajando, leyendo...?, si es así, que el acceso a la vivienda sea paralelo a la mesa, a mí no me importaría, si o es así, seguramente el espacio le sirva para otras cosas como por ejemplo almacenaje.

Gracias. Un saludo.

¿Inapropiado? Reporta una incidencia
Arqua Obras y construcciones sostenibles
Arqua Obras y construcciones sostenibles
Arqua Obras y construcciones sostenibles respondió... ARQUA construcción sostenible (Madrid, Madrid) ARQUA construcción sostenible - hace 8 años

Buenos días LGF

Si que se puede hacer, pero sería muy buena idea, si nos pudieras facilitar el resto del plano para saber distribución e incluso intuir la zona de instalaciones donde poder acceder nosotros te podríamos asesorar más detalladamente

Responder
¿Inapropiado? Reporta una incidencia
Deja tu respuesta

Para escribir una respuesta debes estar registrado. No está permitido incluir teléfonos de contacto, e-mails o enlaces a páginas web externas en este apartado, dicho contenido será moderado y eliminado.

Adjuntar fotografías
Pide presupuestos de reformas viviendas en tu zona

Escoge un tipo de trabajo

¿Eres un profesional? Consigue más clientes fácilmente
Registrarse como profesional